Language Settings

Select display language

Select audio language

Notes:
Some walking routes may also offer voice guides in other languages.
If a voice guide is not available in your selected language, it will be provided in Japanese or English.

幕張海浜公園

アラカシ

常緑の森の主役ともいえる木

  • 木の自己紹介

    木の自己紹介

    0:00 / 0:00
  • マップで探す(さがす)
  • 樹木クイズ

この木を 親友 に登録

マイページの樹木帳に親友マーク が付きます。

特徴

縞模様の帽子のドングリが実る木です。
葉のギザギザが粗いので粗樫(あらかし)と名前がついた説があります。
人間が住む前は、 日本の本州の常緑の森の主役の木だったと言われています。

みんなの投稿

以下の情報は、 関東地方を基準にしています。 エリアによって1ヶ月くらいの差があります。

  • Peak Season
  • Blossom
  • Leaf
  • Fruit
  1 2 3 4 5 6 7 8 9 10 11 12
見頃

高さ

高木 (10~30m)

花の性別

雌雄同株

分布

本州(宮城県、 石川県以西)、 四国、 九州、 済州島、 中国、 台湾、 東南アジア、 ヒマラヤ

生息地

山野に生えます

分布

本州(宮城県、 石川県以西)、 四国、 九州、 済州島、 中国、 台湾、 東南アジア、 ヒマラヤ

生息地

山野に生えます

学名

Quercus glauca

樹形

葉が大きめで、 木全体がうっそうとした感じがします。

  • 葉が大き目のドングリの木
    写真 / MayaN

  • 崖っぷちでも生き抜くアラカシ
    写真 / MayaN

葉は厚みがあって光沢があります。
ふちのギザギザが目立ちます。

  • 厚みと光沢のある葉
    写真 / MayaN

  • 裏は少し白っぽい
    写真 / MayaN

雌花と雄花があります。
雄花はひも状で沢山咲くので目立ちます。
雌花は極小で見つけづらいです。 これが半年でドングリに成長します。

  • 雌花
    写真 / MasakoT

  • 紐状の雄花。 芽吹きのころに咲く
    写真 / MasakoT

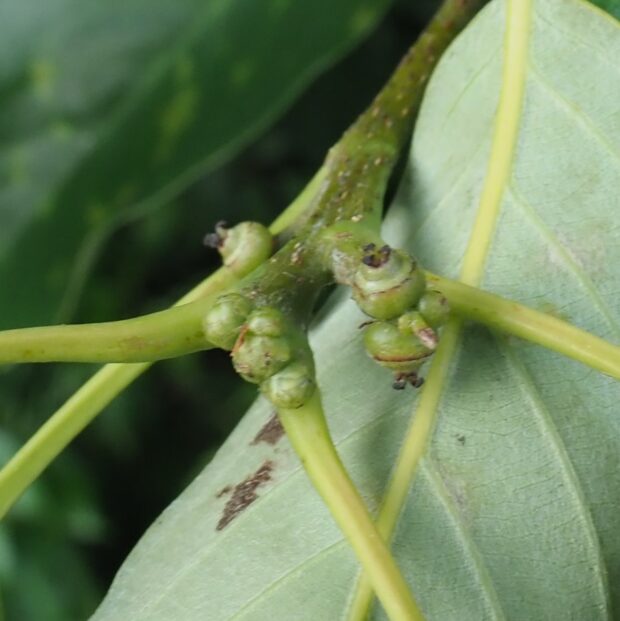
帽子が縞模様のドングリです。 春に花が咲いてその年の秋に熟します。

  • まだ緑のドングリ
    写真 / MasakoT

  • 熟したドングリ
    写真 / MayaN

  • 未熟なドングリ
    写真 / MayaN

幹・枝

黒っぽい樹皮。 浅いくぼみや皮目があります。

  • 写真 / MayaN

冬芽・葉痕

鱗のような沢山の芽鱗のある冬芽です。

  • 写真 / MasakoT

  • 芽吹き。 赤くて華やか。 最初に筒状にはが伸びてから展開する。
    写真 / MasakoT

名前の由来

葉のギザギザが粗い→アラ
材が固いので固し→カシ

性格

アラカシは特に注目をあびる事もなく、 地味に暮らしています。 よくシラカシと間違えられたりしているのですが、 シラカシがあっさりめな醤油顔(葉)で、 アラカシは彫りの深いバター臭い顔(葉)です。 中にはバター醤油顔(葉)もあり、 やっぱりシラカシと似ていたりします。

  • 左がアラカシで葉脈の彫りが深い。 右はシラカシで平らな葉
    写真 / minaei

体験・遊び

四国の山にはカシ豆腐という郷土食があり、 アラカシやシラカシのどんぐりが使われたと思われます。 アラカシのどんぐりはそのままでは苦くて食べられませんが、 水にさらしてあくを抜き、 でんぷんだけにして、 水にといて加熱すると豆腐のように固まります。 韓国にも似たようなどんぐりゼリー(トトリムク)があります。

  • 韓国のどんぐり粉で作ったゼリー
    写真 / minaei

執筆協力 : 「性格」「体験・遊び」岩谷美苗 執筆

幕張海浜公園 基本情報