落葉低木で高さ1~3mほどになります。 日当たりのよい山野の川沿い、 谷間や林の縁を好みます。
初夏に木全体に花を咲かせる姿は美しく目を引きます。
この木を 親友 に登録
マイページの樹木帳に親友マーク が付きます。
特徴
初夏に白い花が木全体に咲きます。 ウツギの花が谷を真っ白に染める風景は、 日本の本州を代表する風景です。 別名ウノハナ。 「夏は来ぬ」の童謡にも歌われています。 また旧暦4月の名前「卯月」は、 卯の花の咲く月という意味です。 畑の境界線にも植えられ、 人々の生活にとっても身近な木でもありました。
以下の情報は、 関東地方を基準にしています。 エリアによって1ヶ月くらいの差があります。
Peak Season
Blossom
Leaf
Fruit
| 1 | 2 | 3 | 4 | 5 | 6 | 7 | 8 | 9 | 10 | 11 | 12 | |
|---|---|---|---|---|---|---|---|---|---|---|---|---|
| 見頃 |
|
|
|
|||||||||
| 花 |
|
|
|
|||||||||
| 葉 |
|
|
|
|
|
|
|
|
|
|||
| 実 |
|
|
||||||||||
高さ
低木 (1〜5m)
|
花の性別
両性花
|
|||||||||||
分布日本(北海道、 本州、 四国、 九州)、 中国 |
生息地日当たりのよい山野の川沿いや林緑 |
|||||||||||
分布日本(北海道、 本州、 四国、 九州)、 中国 |
||||||||||||
生息地日当たりのよい山野の川沿いや林緑 |
||||||||||||
学名Deutzia crenata |
||||||||||||
樹形
葉
先がすっと尖ります。 葉は長さが4~9㎝程。
表面には毛があり、 ゴワゴワした独特な触り心地です。
花
5~7月に白い花を房状にたくさんつけます。 花びらは5枚です。
雄しべの花糸の両側に翼があり、 それが花びらのようにも見えるので、 花びらが2重にあるかのように見える。
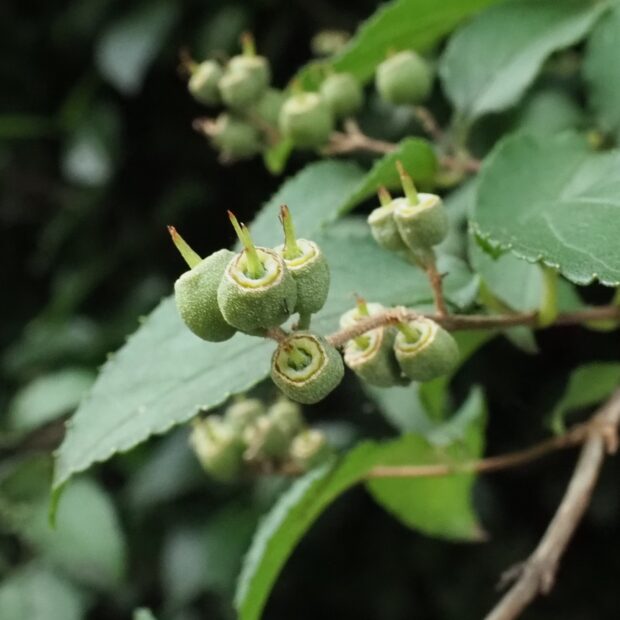
実
直径4~6㎜の椀形で先端はややくぼみ、 花柱(メシベの一部)が残ります。 10~11月に熟し、 種子は褐色で片方に膜質の翼があります。
幹・枝
灰褐色で短冊状に剥がれます。 枝は暗褐色で若い枝は赤褐色で毛があります。
冬芽・葉痕
枝の途中にも冬芽はつきますが、 枝の先端には2つの芽が付くのが特徴です。
卵形~長卵形で毛があります。 4~5対の鱗に包まれています。
人との関わり
刈り込み強いので庭木に利用されます。 武蔵野台地など乾燥したところでは土地の境界に堺木(さかいぎ)として植えられます。
また、 材は楊枝や木釘にします。
名前の由来
幹の中が中空であることから空木=ウツギと呼ばれるようになったと言われています。
関わりが深い生き物
花には、 チョウ、 ハチ、 甲虫・・・、 いろいろな虫がやって来ます。
この木に会える場所
タップすると地図が表示されます
